-

埃尔多安:以色列在加沙实施“彻头彻尾的种族灭绝”!欧洲这国政府批准:对以实施全面武器禁运
据央视新闻,当地时间9月23日,西班牙政府在全体会议上正式批准了首相桑切斯此前提出的“技术性断绝”和...
okex交易所 2025-09-24 8
-

动了中国的“蛋糕”,卢拉申科紧急撇清关系,他的下一步会是什么?
当今世界,地缘政治风起云涌,而波兰与白俄罗斯的边境关闭事件更是让我们看到了国际关系中的复杂与微妙。作...
okex交易所 2025-09-24 9
-

4000亿常熟银行敲响警钟,无锡分行半年内领罚百万元
文/新苏商记者耿朴凡 据江苏证监局官网,近期,江苏常熟农村商业银行股份有限公司(简称“常熟银行”)无...
欧意okex官网 2025-09-24 8
-

口无遮拦!特朗普在联大,1小时“骂”遍全世界
【文/观察者网 齐倩】 当地时间9月23日,美国总统特朗普在纽约联合国总部发表讲话,“金句”和“笑料...
欧意okex官网 2025-09-24 9
-

意大利多地爆发抗议活动,意总理在美表态:“不反对”承认巴勒斯坦国
【环球网报道 记者 索炎琦】据法新社报道,意大利总理梅洛尼当地时间周二(23日)表示,她并不反对承认...
欧意okex官网 2025-09-24 11
-

北京朝阳区平房乡姚家园86号院实现100%腾退签约
央广网北京9月23日消息(记者 王进文)9月23日,对于居住在北京市朝阳区平房乡国有单位宿舍姚家园8...
okex交易所 2025-09-24 10
-

特朗普:俄罗斯是纸老虎 乌克兰可以夺回所有领土
当地时间9月23日,美国总统特朗普表示,他相信乌克兰可以夺回所有被俄罗斯占领的土地,乌克兰现在应该在...
okex交易所 2025-09-24 10
-

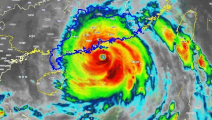
深圳已进入桦加沙10级风圈
据广州市气象台今早7时30分发布的消息,受台风影响,过去1小时,广州市出现分散阵雨,356个站点(6...
欧意交易平台 2025-09-24 13
-

锡安出席发布会瘦身明显 管理层已对他严格要求
北京时间2025年9月24日,锡安-威廉姆森出席了新赛季媒体日,从现场来看,瘦身效果十分明显。 据...
okex交易所 2025-09-24 9
-

她裸辞带2万到义乌 卖玩偶衣服日入千元
(视频:她每天走几万步,在拉布布衣橱里搞钱) 摘要: 义乌走播们在档口间穿梭,介绍商品,每天走几万步...
欧意交易平台 2025-09-23 13

最新留言